Preoperative and Postoperative Precautions for Spot Removal with Ultra-Picosecond/Picosecond Laser

Date: 2025.09.23
"Spot removal" usually refers to the treatment of pigmented skin diseases. Ultra-picosecond lasers (wavelengths: 532nm, 1064nm) and honeycomb picosecond lasers (wavelength: 755nm) are two common types of equipment used for laser spot removal. These three wavelengths can basically cover the treatment of most "skin spots". Other commonly used equipment includes Q-switched nanosecond lasers, 694nm ruby lasers, and intense pulsed light.
Ota nevus café au lait macule super picosecond laser picosecond laser picosecond

01 Indications

Freckles, age spots (seborrheic keratosis without obvious thickening), sunspots (solar lentigines), café-au-lait spots, nevus of Ota, nevus fusco-caeruleus zygomaticus, lentigo simplex, pigmented Becker’s nevus (without obvious thickening), etc. Due to the complex treatment of melasma and its different postoperative reactions from the above-mentioned spots, it is not discussed together in this article.
 
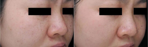
  • 532nm ultra-picosecond laser for freckles: After 1 treatment
  • 755nm nanosecond laser for café-au-lait spots: After 4 treatments
  • 1064nm ultra-picosecond laser for nevus of Ota: After 3 treatments

02 Contraindications

  1. Individuals who have been exposed to intense sunlight, sunburned, taken sunbaths, etc. in the past month, or who are about to be exposed to intense sunlight;
  2. Individuals with infectious skin diseases (such as verruca plana) or active inflammatory skin diseases (such as eczema, dermatitis, psoriasis, vitiligo, etc.) on the spots;
  3. Patients with scar constitution;
  4. Pregnant and lactating women;

03 Preoperative Instructions

1. Efficacy varies greatly among different spots

Not all spots can be completely removed; some can only be lightened after treatment. Generally, epidermal spots closely related to ultraviolet rays, such as freckles, sunspots, and age spots, have better treatment effects but are prone to recurrence if sun protection is not paid attention to after treatment. Nevus of Ota and nevus fusco-caeruleus zygomaticus also have good treatment effects and are not easy to recur. The efficacy of café-au-lait spots varies greatly among individuals.

532nm Super Picosecond Laser for Freckle Treatment: After 1 Session

755nm Nanosecond Laser for Café au Lait Macule Treatment: After 4 Sessions

1064nm Super Picosecond Laser for Ota Nevus Treatment: After 3 Sessions

2. Some spots require multiple treatments

Freckles, sunspots, and age spots can achieve significant results with a single treatment; café-au-lait spots, nevus fusco-caeruleus zygomaticus, and nevus of Ota need multiple treatments for gradual improvement.

3. Transient hypopigmentation may occur after treatment of superficial spots

Superficial spots such as freckles, sunspots, and age spots often scab after laser treatment. After the scabs fall off, the local color may be lighter than the normal skin color. This is mostly transient hypopigmentation, which can gradually return to normal over time.

4. The treatment process is relatively painful; topical anesthetic can be applied in advance

The treatment process may cause obvious pain, and topical anesthetic cream can be applied in advance to relieve discomfort.

04 Postoperative Precautions

1. Immediately after surgery

A burning pain will gradually be felt after treatment. An ice pack can be used to apply cold compresses to the treated area for 20-30 minutes immediately to reduce temperature and relieve pain. If obvious edema or signs of blistering are found after surgery, a topical glucocorticoid ointment can be applied once to reduce the risk of blistering. If there is concern about wound infection, it can be used in combination with a topical antibiotic cream.

2. 7 days after surgery

Keep the treated area away from water. Medical dressings, moist burn ointment, or growth factor drugs can be used to promote wound repair.

3. Protect the scabs

The wound usually scabs in 2-3 days after treatment and falls off naturally in 7-10 days. Do not pick off the scabs with hands or wipe them off violently, otherwise, it is easy to cause pigmentation, and in severe cases, there is a risk of scarring.

4. Prevent pigmentation

After the scabs fall off, topical serums such as vitamin C, tranexamic acid, arbutin, or astaxanthin can be used to prevent pigmentation.

5. Sun protection

Strict physical sun protection (such as wearing a hat, sunglasses, sun protection mask, etc.) is required, and sunscreen (SPF50, PA+++) can be used in combination. Sun protection should be persisted for at least 3 months.

05 Adverse Reactions and Countermeasures

1. Erythema and swelling

Erythema and swelling often occur after surgery, which can be improved by cold compresses. Generally, the symptoms can be relieved the next day.

2. Blisters

If superficial small blisters appear (diameter less than 1cm), no treatment is usually needed, and they can be absorbed naturally. If large blisters appear (diameter greater than 1cm), medical staff need to perform puncture and drainage, followed by anti-infection treatment and pressure bandaging to reduce local tissue damage and promote wound healing.

3. Pigmentation

Improper wound care or lack of sun protection after surgery may lead to pigmentation. Hydroquinone cream and tranexamic acid serum can be used for treatment. If necessary, gentle methods such as chemical peeling and photorejuvenation can be used.

4. Scars

If the treatment energy is too high or the local reaction is too severe (such as the appearance of large blisters), there may be a risk of scarring. After the scabs fall off, scar ointments or patches, such as silicone gel and Mepiform, can be used as early as possible to reduce the risk of scarring. If scars are unfortunately formed, they can be faded by treatments such as fractional laser in the later stage.
Partner with ZHEONE for cutting-edge technology, reliable quality, and shared growth!
* To serve you better, please provide complete information and requirements.
Partner with ZHEONE for cutting-edge technology, reliable quality, and shared growth!
Address : 03E,15/F,CARNIVAL COMMERCIAL BUILDING,18 JAVA ROAD, NORTH POINT,HONG KONG
*Please contact us so that I can solve your problem as soon as possible! Worktime:9:00-18:00 CN